Hurricane Beryl: Live Tracking & Google Maps Updates

P.Dailyhealthcures 117 views
Hurricane Beryl: Live Tracking & Google Maps Updates

Hurricane Beryl: Live Tracking & Google Maps Updates

Hey there, weather enthusiasts! Let’s dive into the fascinating world of Hurricane Beryl and how we can track it in real-time using the power of Google Maps . As you know, keeping tabs on hurricanes is super important for staying safe and informed, so buckle up as we explore the best ways to monitor Beryl’s every move. We’ll explore using Google Maps for live tracking, and some of the tools available to monitor the storm.

Understanding Hurricane Beryl and Its Importance

Hurricane Beryl , like all hurricanes, is a powerful force of nature. Understanding its potential impact is the first step in staying safe. Hurricanes are essentially massive, swirling storms that can bring a whole range of hazards – think heavy rain, strong winds, storm surges, and even tornadoes. The intensity of these hazards can vary greatly depending on the hurricane’s strength and the location it impacts. That’s why being able to track a hurricane like Beryl in real-time is crucial; it gives us the information we need to prepare and protect ourselves. This preparation can range from securing your home and having enough supplies to knowing when to evacuate. The importance of staying informed cannot be overstated when a hurricane is approaching. With the right information, you can make informed decisions to protect yourself, your family, and your property. It’s not just about avoiding the direct impact of the storm; it’s also about being aware of the potential for secondary effects like power outages, flooding, and disruptions to essential services. Therefore, having access to live updates and reliable tracking tools is a necessity.

The Anatomy of a Hurricane

Let’s get a quick understanding of what a hurricane is. A hurricane starts as a tropical disturbance over warm ocean waters. As the warm, moist air rises, it creates thunderstorms, and if these thunderstorms organize and intensify, they can develop into a tropical depression. If the winds around the center of the depression reach 39 mph, it becomes a tropical storm, and is given a name. Once sustained winds reach 74 mph, the storm is classified as a hurricane. At the heart of the hurricane is the eye, a relatively calm area surrounded by the eyewall, where the most intense winds and rainfall occur. Surrounding the eyewall are rain bands, which spiral outwards and bring heavy rain and wind. The Saffir-Simpson Hurricane Wind Scale is used to classify hurricanes based on their sustained wind speeds, ranging from Category 1 (the weakest) to Category 5 (the strongest). The strength of a hurricane is a crucial factor in determining its potential impact, and factors like the hurricane’s size, speed, and path also play a role. Understanding these aspects helps in appreciating the dynamics of the storm and its potential impact. It’s like understanding the basics of a car before you drive it. This foundational knowledge is essential for appreciating the information provided by tracking tools like Google Maps and making appropriate safety decisions.

Why Track Hurricanes?

Tracking hurricanes is not just about satisfying our curiosity; it’s a matter of public safety. The ability to monitor a hurricane’s path, intensity, and potential impacts in real-time empowers individuals, communities, and emergency management agencies to take proactive measures. These measures include issuing timely warnings, implementing evacuation orders, and mobilizing resources. Accurate and up-to-date information is essential in these situations. Imagine a scenario where a hurricane is expected to make landfall in your area. Without a reliable tracking system, you’d be in the dark, unsure of when the storm would arrive, how strong it would be, or which areas would be most affected. Real-time tracking provides this critical information, allowing you to prepare your home, gather emergency supplies, and, if necessary, evacuate to a safer location. It also aids emergency responders in coordinating rescue operations and providing assistance to those in need. In addition, tracking helps scientists and meteorologists learn more about hurricanes, improving our forecasting capabilities and overall preparedness. This includes understanding the effects of climate change on hurricane behavior. It is therefore a matter of proactive measures and understanding.

Using Google Maps for Hurricane Tracking

Now, let’s explore how Google Maps can be your go-to tool for tracking Hurricane Beryl . Google Maps is a versatile platform, and while it’s not a dedicated hurricane tracker, it provides valuable real-time information and tools that can be incredibly useful. In this section, we’ll cover the main methods and features you can use to track the hurricane’s progress using this widely used service. We’ll be discussing how to access satellite imagery, use traffic data, and other tools. It’s like having a window to the storm’s current location, along with other insights to help you get prepared.

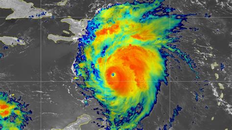
Satellite Imagery and Radar Overlays

One of the most valuable features of Google Maps for hurricane tracking is its integration of satellite imagery and radar overlays. Google Maps allows you to view the storm’s cloud cover and weather patterns directly on the map. To access this information, simply open Google Maps, search for the area affected by the hurricane, and then click on the ‘Layers’ icon. Then select the ‘Weather’ option. This will display a visual representation of the storm’s cloud cover and precipitation. You can also find additional information on various websites, such as the National Hurricane Center (NHC) or the World Meteorological Organization (WMO). These overlays give you a visual understanding of the storm’s size, shape, and intensity. This is essential for getting a general idea of the hurricane’s scope and the areas most likely to be affected. The radar overlays also show the intensity of the precipitation, helping you understand the areas experiencing the heaviest rainfall. With the ability to visualize these details, you can more effectively assess the storm’s impact and make informed decisions about your safety. It’s like seeing the hurricane with your own eyes, even if you are far from it.

Traffic Data and Road Closures

Another helpful feature of Google Maps is its ability to display real-time traffic data and road closures. As a hurricane approaches, traffic conditions can change dramatically, especially as people evacuate. To view traffic data, open Google Maps, and click on the ‘Layers’ icon. Then select the ‘Traffic’ option. This will display traffic conditions on roads in the area, using different colors to indicate traffic flow. Red indicates heavy traffic, yellow moderate traffic, and green free-flowing traffic. You can also find information on road closures caused by flooding, downed trees, or other hurricane-related hazards. This is very important if you are planning to travel during or after the storm. By monitoring traffic data and road closures, you can plan your routes, avoid hazardous areas, and stay safe. It allows you to anticipate and navigate the challenges posed by the hurricane, making travel as safe and efficient as possible. It is a very practical feature that is extremely useful, especially during emergencies. The maps allow you to easily navigate the roads and avoid the closures to arrive at your destination safe and sound.

Utilizing Other Google Features

Google Maps also integrates with other Google services that can be useful during a hurricane. For example, you can use Google Search to find information about shelters, evacuation routes, and emergency services in the affected area. Simply search for relevant terms like “hurricane shelters near me” or “evacuation routes [your city]” in the search bar, and Google Maps will display the results on the map. You can also use Google Maps to share your location with family and friends, so they can keep track of your whereabouts. This can be especially important during emergencies. In addition, you can use Google Maps to find the location of grocery stores, gas stations, and other essential services that may be affected by the hurricane. These additional features can provide you with a lot of information, which is helpful when preparing for and coping with the effects of a hurricane. They allow you to stay informed, connect with others, and access the resources you need to stay safe during a crisis. It is a complete integration that can provide very helpful information when you need it.

Third-Party Tools and Resources for Hurricane Tracking

While Google Maps provides some useful tools, it’s not a dedicated hurricane tracking platform. To get the most comprehensive and detailed information about Hurricane Beryl , you’ll want to use third-party tools and resources. These resources offer advanced features, specialized data, and expert analysis that can enhance your understanding of the storm. In this section, we’ll explore some of the best third-party options available.

National Hurricane Center (NHC)

The National Hurricane Center (NHC) is the official source of hurricane information in the United States. Its website provides detailed forecasts, advisories, and track maps for all active hurricanes. The NHC’s track maps show the predicted path of the storm, as well as the cone of uncertainty, which represents the possible range of error in the forecast. The NHC also provides information on the hurricane’s intensity, wind speeds, and potential impacts. The NHC is the gold standard for hurricane tracking. You should always consult the NHC’s website for the most accurate and up-to-date information on any hurricane affecting the United States. The site also provides historical data and educational resources, which can enhance your understanding of hurricanes. It is a reliable source of information for those who are serious about tracking and preparing for hurricanes.

Other Reliable Websites

There are numerous other websites and services that provide valuable information about hurricanes. Some of the most popular include: WeatherBug, AccuWeather, and The Weather Channel. These websites typically provide detailed forecasts, radar imagery, and live updates on the storm’s progress. They also often offer interactive maps and other visualization tools. In addition to these major weather providers, there are also a number of independent weather websites and blogs that provide in-depth analysis and expert commentary on hurricanes. These sites often offer unique insights and perspectives. When using these websites and services, be sure to check their credibility and reliability. Look for sources that cite data from the NHC and other reputable weather agencies. When preparing for a hurricane, having multiple sources of information is always a good idea. That way, you’ll be able to compare forecasts, track the storm’s progress, and make informed decisions about your safety. These different sources offer information and also different perspectives on how the situation can evolve. Being informed and getting prepared for a hurricane, can give you the advantage of safety.

Preparing for Hurricane Beryl: Safety Tips

While tracking Hurricane Beryl is important, it’s equally crucial to be prepared for its potential impacts. Here are some essential safety tips to help you stay safe before, during, and after the storm. Remember, safety always comes first, so make sure to take all of these steps as the hurricane season approaches.

Before the Hurricane Arrives

Before a hurricane arrives, there are several steps you can take to prepare your home and family. First, create a disaster kit that includes essential supplies such as non-perishable food, water, medications, first-aid supplies, a flashlight, batteries, and a radio. Secure your home by boarding up windows, reinforcing doors, and clearing your yard of any loose objects that could become projectiles in high winds. If you live in an evacuation zone, develop an evacuation plan and know your evacuation routes. Inform your family about the plan and identify a safe place to go. Also, review your insurance policies to ensure you have adequate coverage for hurricane-related damage. It is a good idea to protect your valuable documents and have them handy. Make sure you have the basics ready and are prepared to leave your house at a moment’s notice. It is important to stay informed about the hurricane. So, keep an eye on weather reports and listen to the advice from local authorities. Doing the necessary preparation can make a big difference in ensuring your safety during a hurricane. Preparation is the key to safety.

During the Hurricane

During a hurricane, stay indoors and away from windows and doors. The safest place to be is an interior room away from the windows. Monitor weather updates and be prepared for potential flooding, power outages, and other hazards. If you lose power, turn off major appliances to prevent electrical surges when the power is restored. Never go outside during the storm unless it’s absolutely necessary. Avoid driving and stay away from areas prone to flooding. If you must evacuate, follow your evacuation plan and listen to the instructions of local authorities. It is also important to stay calm and take action. These steps can minimize the risks and help you get through the storm safely. Safety is the most important thing. Make sure you keep your safety as the first priority and follow all instructions from the authorities.

After the Hurricane

After the hurricane has passed, be cautious of potential hazards. Stay away from downed power lines and report any damage to utility companies. Be aware of the risk of flooding and standing water. Check for structural damage to your home and only enter it if it’s safe to do so. Watch out for debris, broken glass, and other hazards. If you evacuated, wait for local authorities to declare it safe before returning home. Document any damage to your property and file insurance claims as needed. Take precautions to prevent illness and injuries. Make sure to stay informed of any emergency measures from local authorities and the national weather service. Remember, safety precautions are very important even after the storm has passed. Once the storm is over, the work begins. Be ready to take the necessary steps to restore your home and return to normal.

Conclusion: Staying Informed and Prepared

Tracking Hurricane Beryl and any other approaching storm using Google Maps and third-party resources is essential for your safety and well-being. By staying informed, preparing your home, and following safety guidelines, you can significantly reduce the risks associated with hurricanes. Remember, the best approach is to be proactive and informed. Regularly check weather updates, and have a plan in place. By doing so, you’ll be well-prepared to face the challenges and stay safe during hurricane season. This knowledge will not only protect you but also the people you care about.

Stay safe, and keep an eye on those maps, guys! Remember that with accurate information, and the correct precautions, hurricanes can be overcome. So, stay alert and keep yourself and your loved ones safe. Remember, staying informed and prepared are your best defenses against the destructive power of hurricanes.