Hurricane Melissa: A Detailed Look

P.Dailyhealthcures 25 views
Hurricane Melissa: A Detailed Look

Hurricane Melissa: A Detailed Look

Hey guys, let’s dive into something pretty intense – Hurricane Melissa. We’re going to break down everything from what made it tick to the aftermath. This isn’t just about the facts; it’s about understanding the power and impact of these natural events. Ready? Let’s go!

What Was Hurricane Melissa?

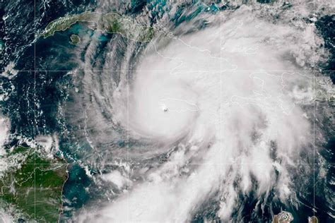
Alright, so what was Hurricane Melissa, exactly? Well, it was a tropical cyclone that churned in the Atlantic. These storms are like giant, spinning machines fueled by warm ocean water. When that water gets toasty, it evaporates, creating a cycle of rising air, condensation, and the release of energy. That energy is what powers the hurricane, making it bigger and stronger. Melissa was one of those impressive storms, flexing its muscles in the ocean and causing a stir. It’s super important to remember that these hurricanes aren’t just random events; they’re the result of complex weather systems coming together. This specific hurricane, Hurricane Melissa , was a notable weather event that needs a good review.

Now, let’s talk about the anatomy of a hurricane. Imagine a giant whirlpool, with the eye at the center being the calmest part. Around the eye is the eyewall, where the most intense winds and rain are concentrated. Then you have the rainbands spiraling outwards, bringing more rain and sometimes even tornadoes. Hurricane Melissa, like all hurricanes, had this structure, and understanding it helps us figure out where the most damage is likely to occur. Meteorologists use all sorts of tools, like satellites, weather balloons, and aircraft, to observe these hurricanes and collect data. This data helps them to predict the path and intensity of the storm, which is super critical for giving people enough time to prepare. It’s a whole science, really, and it’s constantly evolving to get better at predicting these powerful events.

Hurricane Melissa wasn’t just a blip on the radar; it packed a punch. Even though we don’t have all the specific details on its strength and track, the fact that it’s worth discussing means it caused some significant impacts. That could mean intense winds, heavy rainfall, storm surges, or maybe even flooding. Each hurricane leaves its mark, and the devastation can be extensive. So, whether it was a Category 1 or a Category 5, we know that it brought challenges for those in its path. These hurricanes affect everyone differently. The effects on communities and the environment are so wide-ranging. It’s essential to grasp how serious these storms are and how important it is to be prepared. We need to remember that every hurricane is unique, and its impact varies depending on a whole lot of factors, including where it hits and what infrastructure is in place.

Key Characteristics and Path of Hurricane Melissa

Alright, let’s get into the specifics of Hurricane Melissa : the path it took and what made it tick. Knowing the track is essential because it shows us which areas were most at risk. It’s like drawing a line on a map of where the storm traveled, and it gives us an idea of the areas that took the brunt of the impact. The path also affects the types of damage a hurricane can cause. A storm that stays over water longer will typically have more moisture, which can lead to intense rainfall and flooding. One that moves faster might have stronger winds, especially in the areas closer to the eyewall. This is why meteorologists are continually monitoring and updating the track forecasts. They’re trying to figure out how the storm will change and affect different areas. The path of a hurricane isn’t a straight line. It’s influenced by the wind patterns, which can steer the storm in various directions. This is why accurate forecasting is so challenging, but also so vital.

Now, let’s talk about the key characteristics. We’re talking about the wind speeds, the pressure, and the rainfall. All of these factors contribute to the intensity of the hurricane. The wind speed is probably the most talked-about, because it’s what’s used to categorize the storm. Category 1 hurricanes have the lowest wind speeds, while Category 5 hurricanes have the highest. Then there’s the pressure, which is inversely related to wind speed. The lower the pressure in the center of the hurricane, the stronger it typically is. And of course, there’s the rainfall. Hurricanes can dump massive amounts of rain, leading to flooding that can last for days or even weeks. It’s a complex picture, and each element plays its role in determining the overall impact. When meteorologists analyze a hurricane, they look at all of these characteristics to understand what makes it tick. This detailed data collection is what allows them to get a clear picture of the storm. They can better prepare people for what’s coming.

Remember, hurricanes, including Hurricane Melissa , are dynamic systems. They can intensify, weaken, change direction, and affect any area they go through. Every event has the potential to become a weather story.

Impact and Effects of the Hurricane

Alright, let’s talk about the after-effects. We’re getting to the part where we see what Hurricane Melissa actually did. What sort of damage did it leave behind? The types of damage caused by a hurricane can include everything from downed trees and power lines to structural damage to buildings. Then there’s the flooding. Storm surges can push ocean water far inland, inundating coastal communities. Heavy rainfall can cause rivers and streams to overflow, leading to widespread flooding. And let’s not forget the long-term impacts: the economic costs of rebuilding, the environmental damage, and the mental and emotional toll on those who were affected. Understanding these impacts is critical for disaster preparedness and response. Every hurricane is a learning opportunity. The key is to assess the damage, learn from it, and improve the strategies for future storms.

Then, there are the specific effects on different areas. Some coastal areas might have experienced severe storm surges, while inland areas might have dealt with flooding due to excessive rainfall. Communities with less robust infrastructure may have suffered more. In this context, it is so critical to have strong communication networks and resources for disaster relief. Think about those who were displaced from their homes, or who experienced loss. They needed help with immediate needs like shelter, food, and medical care. The response from emergency services, charities, and community members becomes super vital. We can see how the world comes together during times of tragedy. It’s a real testament to human resilience. The impacts of Hurricane Melissa were, without a doubt, a wake-up call, emphasizing the need for robust disaster preparedness.

Lessons Learned and Future Implications

Okay, so what can we learn from Hurricane Melissa ? Each hurricane teaches us a bunch of things, from improving our forecasting methods to refining our disaster response strategies. One of the main things we can learn is to improve forecasting models. We must understand how we can predict a storm’s path and intensity more accurately. The more accurate the forecast, the better people can prepare. It also includes disaster preparedness and response. Looking back at Melissa, we can see where the response worked well and where improvements could have been made. This might mean better evacuation plans, more effective communication strategies, or improved resource allocation. It’s essential to constantly review and update these strategies to ensure they are the best they can be.

We need to realize that climate change is making these storms more intense and frequent. As temperatures rise, the oceans warm up, and warmer oceans provide more energy for hurricanes. That means we could see more powerful storms in the future. We must prepare for these changes by investing in climate resilience. It’s not just about building better infrastructure. It’s also about things like protecting natural barriers like mangroves and wetlands, which can help absorb the impact of storms. It also includes taking steps to reduce greenhouse gas emissions to slow down climate change. The future of hurricane preparedness hinges on our ability to adapt to these changes. It’s all about investing in new technologies, improving our understanding of these storms, and working together to protect communities and the environment. Learning from the past and preparing for the future is the only way.

So, as we wrap things up on Hurricane Melissa , it’s clear that these storms are complex. They’re powerful, and they can have a massive impact on communities. But it’s equally clear that we’re learning, adapting, and getting better at facing these challenges. It’s a continuous process, and it’s essential for protecting ourselves and the environment. Stay safe out there, guys, and always be prepared for whatever nature throws our way.