INOAA Hurricane Tracker: Mapping Storms With Satellite Data

P.Dailyhealthcures 57 views
INOAA Hurricane Tracker: Mapping Storms With Satellite Data

INOAA Hurricane Tracker: Mapping Storms with Satellite Data

Hey guys! Ever wondered how we keep tabs on those massive hurricanes swirling around in the ocean? Well, you’re in the right place! We’re diving deep into the INOAA Hurricane Satellite Tracker Map , a super cool tool that helps us visualize and understand these powerful storms. This article will break down what the INOAA is, how their satellite maps work, and why they’re so crucial in keeping us safe. Plus, we’ll check out some of the cool features of these trackers. So, buckle up; it’s going to be a fun ride!

What is INOAA and Why Does It Matter?

Okay, first things first: What the heck is INOAA? For those who haven’t heard of it, INOAA stands for the International Network of Ocean, Atmosphere, and Astronomy . Just kidding, it stands for the National Oceanic and Atmospheric Administration , and they are the big shots when it comes to monitoring our planet’s weather and climate. They’re like the ultimate weather watchdogs! They’re constantly gathering data from satellites, airplanes, and ground stations to give us a comprehensive view of what’s happening in our atmosphere and oceans. When it comes to hurricanes, they are super important because they provide all the data to give people information, and save lives.

So, why does INOAA matter? Well, think about it: hurricanes can cause absolute chaos. They bring insane winds, torrential rain, and massive storm surges. These things can level towns, cause flooding, and put countless lives at risk. INOAA’s role in this whole situation is to give early warnings, track the paths of storms, and provide detailed forecasts. They use a network of satellites and ground-based radar systems to monitor storms from the moment they start brewing. This allows them to predict where a hurricane will go, how strong it will be, and when it will hit. And this information is crucial for local governments, emergency responders, and regular people like you and me to prepare and stay safe.

The INOAA is vital for giving people warnings so they can prepare for a hurricane and stay safe. Without all the data they collect, the world would have no idea when and where the next hurricane would hit. They use satellites, which gather data from space, to keep an eye on every hurricane and storm that brews.

Diving into the INOAA Hurricane Satellite Tracker Map

Alright, let’s get into the nitty-gritty of the INOAA Hurricane Satellite Tracker Map . This isn’t just a regular map; it’s a dynamic, data-rich tool that gives us a real-time view of hurricanes. You can access it on the INOAA website, and it’s your go-to source for the latest storm information. What makes these maps so special? Well, for starters, they’re constantly updated. The INOAA’s satellites are up there, day and night, collecting tons of information. They measure wind speeds, track the storm’s center, and estimate its size. This data is then put together on the map, which is updated frequently.

The maps are packed with useful information. You can see the current location of a hurricane, its projected path, and the areas under threat. They also show the storm’s intensity, which is usually categorized using the Saffir-Simpson Hurricane Wind Scale. The map will show you the category of the hurricane so you know what to expect. You can also see things like the storm’s maximum sustained winds and the pressure in its eye. Plus, most trackers will give you a detailed forecast. They’ll tell you when the storm is expected to make landfall, how much rain is expected, and what areas are most at risk.

Now, let’s talk about the actual data. The INOAA uses various satellites, including the Geostationary Operational Environmental Satellites (GOES) and the Joint Polar Satellite System (JPSS) , to gather data. These satellites use advanced instruments like radiometers and imagers to gather info on things like cloud formations, sea surface temperatures, and wind patterns. This data is then translated into the images and data you see on the map. It’s a complex process, but the results are impressive.

Key Features and Data on the Map

Let’s break down some of the key features of the INOAA Hurricane Satellite Tracker Map and the kind of data you can expect to find. You’re going to find this stuff very useful. When you first load up the map, you’ll probably be overwhelmed by everything on display. Let’s make it easy to understand.

  • Current Storm Location and Track: The map clearly shows the current location of each hurricane. You’ll see an icon representing the storm’s center, often accompanied by a projected path. This projected path is based on the INOAA’s forecast models, which estimate where the storm is likely to go over the next few days. The path is usually shown as a line, with a cone of uncertainty. The cone represents the possible range of the storm’s path, and it gets wider over time because the forecast becomes less certain the further out you go. This shows the areas under threat and the people who need to be aware of what is happening.
  • Intensity and Strength: The map also displays the storm’s intensity. They typically use the Saffir-Simpson Hurricane Wind Scale, which categorizes storms based on their sustained wind speeds. The categories range from Category 1 (the weakest) to Category 5 (the strongest). The map will often show the storm’s category, along with other data like the maximum sustained winds and the minimum central pressure. This information is critical for understanding the potential impact of the storm.
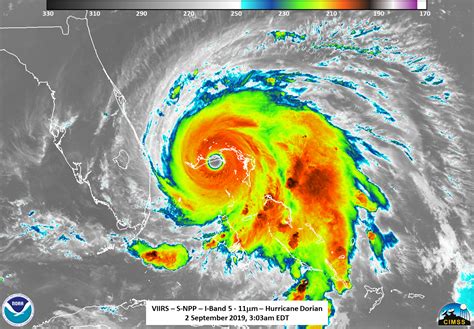
  • Satellite Imagery: The INOAA Hurricane Tracker maps always include satellite imagery, which gives you a visual representation of the storm. You’ll see images of the storm’s cloud formations, which can show you its size and structure. You can often choose from different types of imagery, such as visible, infrared, and enhanced infrared. Visible imagery gives you a view of the storm as if you were looking at it from space. Infrared imagery shows the temperatures of the clouds, which can help you understand the storm’s intensity. Enhanced infrared imagery highlights the coldest and most intense parts of the storm.
  • Forecast Information: You’ll also find detailed forecast information on the map. This includes the expected time and location of landfall, the potential impacts (like storm surge and heavy rainfall), and the areas that are most at risk. Forecasts are updated frequently, so it’s essential to check back often for the latest information. The forecast information is usually presented in a clear and easy-to-understand format. This makes it easy for you to see what to expect and make informed decisions.
  • Data Layers and Customization: Most INOAA Hurricane Tracker maps allow you to customize the information you see. You can add or remove different data layers, such as wind speed, rainfall, and storm surge. This allows you to focus on the information that is most important to you. Many maps also allow you to zoom in and out, pan around the map, and view the storm from different angles.

The Role of Satellite Data in Hurricane Tracking

Now, let’s dig into the role of satellite data in hurricane tracking . Simply put, satellites are the eyes in the sky that help us monitor these powerful storms. They provide a constant stream of information that’s absolutely vital for tracking, forecasting, and understanding hurricanes.

Satellites use different types of sensors and instruments to gather data on hurricanes. For instance, they use radiometers to measure the amount of energy emitted by the Earth’s surface and atmosphere. This helps them determine the sea surface temperatures, which is a key factor in hurricane formation and intensification. They also use imagers to capture visible and infrared images of the storm. These images help meteorologists to understand the size, structure, and intensity of the hurricane. Another critical tool is scatterometers, which measure the wind speed and direction over the ocean’s surface.

One of the main advantages of using satellite data is the ability to see things from a broader perspective. Satellites can observe hurricanes over vast areas, including remote regions of the ocean where there are no other sources of data. This helps meteorologists get a more complete picture of the storm’s development and movement. Moreover, satellites can collect data constantly. They gather information day and night, regardless of weather conditions, providing a continuous stream of data that’s crucial for tracking and forecasting. In contrast to ground-based observations, which can be limited by the range of radar systems and the availability of weather stations, satellites can provide a constant, global view of hurricanes.

How INOAA Data Aids in Preparedness and Response

Okay, so we’ve talked about what the INOAA does and the tools it uses. Now, let’s look at how all this information helps with preparedness and response . This is where the INOAA’s work really shines because it helps to protect people’s lives and property. It’s not just about tracking storms; it’s about giving people enough time to get ready and helping emergency services respond effectively.

One of the main ways the INOAA aids in preparedness is by issuing early warnings and forecasts. The INOAA provides forecasts of when and where the hurricane will hit, its projected intensity, and the expected impacts like storm surge, rainfall, and wind speeds. This information is shared with local authorities, emergency responders, and the public. This gives everyone time to prepare for the hurricane, like making evacuation plans, stocking up on supplies, and securing their homes. The INOAA also helps to improve response efforts. They provide real-time information to emergency responders, including the storm’s current location, intensity, and projected path. This allows the emergency responders to make decisions about resource allocation, search and rescue operations, and other critical activities. They also work closely with other agencies, like FEMA (Federal Emergency Management Agency), to coordinate response efforts.

Beyond just warnings and forecasts, the INOAA also supports the development of community resilience. They work with local communities to assess their vulnerability to hurricanes and develop plans to mitigate the risks. This might involve improving building codes, strengthening infrastructure, or establishing evacuation routes. The INOAA also supports research into hurricane impacts and how to make communities more resilient. This research helps to improve the accuracy of forecasts, refine models of storm surge and flooding, and develop better strategies for protecting people and property. In addition to all the direct benefits, the INOAA’s work also has an economic impact. By providing accurate and timely information, the INOAA helps to reduce the costs associated with hurricanes, such as property damage, business interruption, and disaster relief. Overall, INOAA data is an essential part of preparing for and responding to hurricanes, helping to protect lives, property, and communities.

As technology evolves, the future of hurricane tracking is looking pretty exciting. There are several trends that are starting to shape how we monitor and forecast these storms. First off, we’re seeing huge improvements in satellite technology. New satellites are being developed with more advanced sensors and instruments that can gather data in more detail. This will allow for more accurate and timely forecasts. We’re also seeing the use of artificial intelligence and machine learning. These technologies can analyze vast amounts of data and identify patterns that humans might miss. This can help to improve the accuracy of hurricane forecasts and to better understand how storms develop. Another big trend is the use of drones and unmanned aerial vehicles (UAVs). These can be sent into the storm’s eye to collect data, which gives us a much more detailed view of the storm’s structure and intensity. Finally, we’re seeing an increase in the integration of different data sources. Meteorologists are combining data from satellites, ground-based radar systems, and other sources to create a more comprehensive picture of hurricanes. This is leading to more accurate forecasts and a better understanding of how storms behave.

Conclusion: Staying Informed with the INOAA Hurricane Tracker

To wrap it up, the INOAA Hurricane Satellite Tracker Map is an incredibly important tool for understanding and preparing for hurricanes. It’s a treasure trove of information, from the current location and projected path of a storm to its intensity and potential impacts. The data provided by INOAA, gathered from satellites and other sources, is key to keeping us safe. By understanding how to read and use these maps, you can stay informed and take the necessary steps to protect yourself and your family. So, the next time a hurricane is brewing, be sure to check out the INOAA Hurricane Satellite Tracker Map. It’s your best defense against these powerful storms, guys! Stay safe!