Real-Time Hurricane Tracker: Live Updates & Maps

P.Dailyhealthcures 34 views
Real-Time Hurricane Tracker: Live Updates & Maps

Real-Time Hurricane Tracker: Live Updates & Maps

Hey guys! Ever wondered where to find the most up-to-date info on hurricanes? You’re in the right spot! Tracking hurricanes in real time is super important, whether you’re living in a hurricane-prone area or just want to stay informed. This article will guide you through everything you need to know about real-time hurricane trackers , why they’re essential, and how to use them effectively.

Why Real-Time Hurricane Tracking Matters

Real-time hurricane tracking isn’t just for meteorologists; it’s a crucial tool for everyone. Imagine being able to see exactly where a hurricane is, how fast it’s moving, and where it’s predicted to go. That’s the power of these trackers! Staying informed in real-time can literally be a lifesaver. When you have immediate access to accurate information, you can make better decisions about evacuations, securing your home, and ensuring your family’s safety. Think about it: knowing the precise path of a hurricane allows emergency services to prepare and allocate resources more efficiently, reducing response times and minimizing damage. Plus, businesses can also benefit by adjusting operations and protecting their assets. It’s all about being proactive rather than reactive. So, whether you’re a homeowner, a business owner, or just someone who cares about being prepared, understanding and using real-time hurricane tracking is a must. These tools often provide more than just a location; they give you insights into the storm’s intensity, potential storm surge, and rainfall amounts, all of which can significantly impact your safety and preparedness strategies. The goal is to empower you with the knowledge you need to stay safe and protect your community. So, let’s dive into how these trackers work and where you can find the best ones.

Top Real-Time Hurricane Tracker Tools

When it comes to real-time hurricane trackers , there are several fantastic options available, each with its own strengths. Let’s explore some of the top tools that provide accurate and timely updates. First up is the National Hurricane Center (NHC). This is the official source for hurricane information in the United States. The NHC website offers a wealth of data, including detailed forecast maps, storm surge predictions, and real-time satellite imagery. It’s the gold standard for reliable hurricane tracking. Another great resource is The Weather Channel. Their app and website provide comprehensive coverage, including live radar, interactive maps, and expert analysis from meteorologists. They often offer push notifications to keep you updated on the latest developments. For those who prefer a more visual approach, Windy.com is an excellent choice. This website offers stunning animated maps that show wind patterns, wave heights, and other crucial weather data. It’s particularly useful for understanding the broader impact of a hurricane. Lastly, don’t forget about local news stations. Many local news channels have their own weather teams and apps that provide localized hurricane tracking and alerts. These can be especially helpful for understanding how a storm will specifically affect your area. When choosing a real-time hurricane tracker , consider factors like ease of use, the accuracy of the data, and the availability of additional features like storm surge forecasts and evacuation information. By using a combination of these tools, you can stay well-informed and prepared throughout hurricane season.

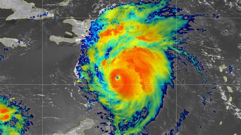
Understanding Hurricane Tracker Maps

Alright, let’s break down how to read and interpret those sometimes confusing hurricane tracker maps . These maps are packed with information, but once you know what to look for, they become incredibly useful. At the center of the map, you’ll usually see the hurricane’s current location , marked with a symbol indicating its strength (tropical depression, tropical storm, or hurricane). The map will also display the storm’s projected path, often represented by a cone of uncertainty. This cone illustrates the range of possible tracks the hurricane might take. Remember, the hurricane could go anywhere within that cone, so it’s essential to stay vigilant even if you’re on the edge of it. Pay close attention to the lines within the cone, which indicate the forecast track – the most likely path based on current data. The map will also show the hurricane’s intensity, usually indicated by color-coded symbols or numbers representing wind speed and central pressure. Lower central pressure generally means a stronger storm. Another critical element is the storm surge forecast. This shows the potential height of coastal flooding caused by the hurricane’s winds pushing water onshore. Understanding the storm surge forecast is vital for coastal residents, as it helps determine evacuation zones and potential flood risks. Many hurricane tracker maps also include real-time radar imagery, showing precipitation patterns and the storm’s overall size and structure. By understanding these elements, you can effectively interpret hurricane tracker maps and make informed decisions about your safety and preparedness.

Tips for Staying Safe During a Hurricane

Okay, so you’re tracking the hurricane in real time – great! But knowing is only half the battle. Now, let’s talk about staying safe when a hurricane is headed your way. First and foremost, heed evacuation orders. If local authorities tell you to evacuate, don’t hesitate. They have your best interests at heart. Gather your family, pets, and essential belongings, and head to a designated shelter or a safe location outside the evacuation zone. Before the storm hits, secure your home as best as you can. Board up windows with plywood or hurricane shutters, bring in outdoor furniture and decorations, and trim any trees or branches that could fall and cause damage. It’s also a good idea to reinforce your garage door, as it’s often a weak point in many homes. Create a hurricane preparedness kit that includes essentials like water (at least one gallon per person per day for several days), non-perishable food, a first-aid kit, a flashlight, batteries, a weather radio, and any necessary medications. Don’t forget important documents like insurance policies and identification. During the storm, stay indoors and away from windows and doors. Monitor local news and weather updates for the latest information. If you lose power, use flashlights instead of candles to avoid fire hazards. And, of course, never drive through flooded areas. Remember, the aftermath of a hurricane can be just as dangerous as the storm itself. Be cautious of downed power lines, debris, and contaminated water. By following these safety tips , you can significantly increase your chances of weathering the storm safely and protecting yourself and your loved ones.

The Future of Hurricane Tracking Technology

The world of hurricane tracking technology is constantly evolving, with new advancements promising even more accurate and timely predictions. One of the most exciting developments is the use of drones and unmanned aerial vehicles (UAVs) to gather data from inside hurricanes. These drones can fly directly into the eye of the storm, collecting valuable information about wind speed, pressure, and temperature. This data helps scientists better understand hurricane behavior and improve forecast models. Another area of innovation is the use of artificial intelligence (AI) and machine learning to analyze vast amounts of weather data and identify patterns that humans might miss. AI algorithms can process data from satellites, radar, and weather stations to create more precise and reliable hurricane forecasts. Satellite technology is also advancing, with new generations of satellites providing higher-resolution imagery and more detailed data about ocean temperatures and atmospheric conditions. These improved satellites can detect the early stages of hurricane formation and track their development with greater accuracy. In the future, we may see the development of even more sophisticated tools, such as autonomous underwater vehicles (AUVs) that can explore the ocean depths and gather data about the interaction between hurricanes and the ocean. As hurricane tracking technology continues to improve, we can expect to see more accurate forecasts, longer lead times for evacuations, and ultimately, a greater ability to protect lives and property from these devastating storms. These advancements mean we’ll be even better equipped to stay safe and informed in the face of these powerful natural disasters.