Real-Time Hurricane Tracking: A Satellite's Eye View

P.Dailyhealthcures 115 views
Real-Time Hurricane Tracking: A Satellite's Eye View

Real-Time Hurricane Tracking: A Satellite’s Eye View

Hey guys! Ever wondered how we keep tabs on those massive swirling storms we call hurricanes? Well, buckle up, because we’re diving deep into the fascinating world of pseilivese hurricane tracker satellite technology. It’s like having a superpower, allowing us to watch these behemoths from space and prepare for their arrival. This technology is incredibly important for meteorologists and everyday people because it provides crucial data about storm systems. This is especially true when it comes to the pseilivese hurricane tracker satellite because it allows for real-time data collection. Let’s get started on learning how this works, shall we?

Understanding the Basics of Hurricane Tracking

Before we zoom in on the satellites, let’s get a handle on the general concept of hurricane tracking. Hurricanes, as you know, are massive weather systems that need to be monitored closely. They’re formed over warm ocean waters and are fueled by the energy released as water vapor condenses into rain. This is why many pseilivese hurricane tracker satellite systems are specifically designed to watch over the oceans. The lifecycle of a hurricane is pretty complex, but basically, we track their formation, development, movement, and eventual dissipation. Meteorologists use a variety of tools to do this, but satellites are the workhorses of hurricane tracking. Satellites allow for the continuous monitoring of storms from space. They use different types of sensors to collect all sorts of data. This includes things like wind speed, temperature, and atmospheric pressure. This data is then used to predict the storm’s path and intensity. This helps to issue warnings so that we can keep ourselves safe. It’s truly amazing when you think about it!

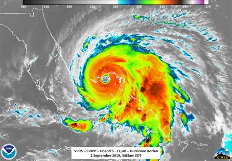
Satellite-based hurricane tracking is primarily based on the observations of the weather over the Atlantic and Pacific oceans. This is done through the combination of various instruments. One of these is the geostationary satellite. These satellites sit above the Earth and allow for continuous monitoring of the same area. This includes the ability to watch weather patterns over time. Another type of satellite is the polar orbiting satellite. They orbit the Earth at a much lower altitude and provide more detailed measurements. They offer better spatial resolution. Both types of satellites are incredibly useful for hurricane tracking . They can monitor changes in a storm’s structure. This includes the size of the eye, as well as the intensity of the winds, and the amount of precipitation. This is extremely important because it helps scientists to improve forecasting models, which are then used by the National Hurricane Center and other meteorological organizations. These organizations issue warnings and alerts to the public.

The Role of Satellites in Monitoring Hurricanes

Satellites are the unsung heroes of hurricane tracking, providing a bird’s-eye view of these powerful storms. They provide data that helps scientists understand their structure, intensity, and movement. Satellites can measure various parameters, including cloud-top temperatures, sea surface temperatures, and wind speeds. This information is then used to create detailed models that predict the storm’s future behavior. Without satellites, tracking and forecasting hurricanes would be significantly more challenging, and our ability to prepare and respond to these dangerous events would be severely limited. When it comes to pseilivese hurricane tracker satellite systems, the data they collect is really amazing!

Satellite Technology uses advanced sensors to observe hurricanes. These sensors can detect different parts of the electromagnetic spectrum. This includes visible light, infrared radiation, and microwave radiation. Each of these types of radiation provides specific data about the storm. For example, visible light images can show the cloud cover and the shape of the storm. Infrared sensors can measure cloud-top temperatures, which can indicate the intensity of the storm. Microwave sensors can penetrate through clouds and measure the rainfall rate and the structure of the storm. The different data from each of these instruments is combined to make the most accurate and reliable forecasts.

The Technology Behind Hurricane Tracking Satellites

So, how do these pseilivese hurricane tracker satellites actually work, anyway? It’s a combination of sophisticated technology and clever engineering. It begins with the satellite itself, equipped with a suite of sensors. These sensors are designed to detect different kinds of data about the atmosphere and the Earth’s surface. The satellites constantly beam this data back to Earth, where scientists can analyze it. The data is processed and interpreted using complex computer models, which produce detailed information about the storm’s location, intensity, and projected path. It’s a truly remarkable system that allows us to stay one step ahead of these powerful storms. Let’s explore this further!

Types of Sensors Used

Hurricane tracking satellites use a variety of sensors to collect data. They include:

  • Radiometers: These sensors measure the intensity of electromagnetic radiation emitted or reflected by the Earth and atmosphere. This helps determine cloud-top temperatures, sea surface temperatures, and other important parameters.
  • Microwave Imagers: These sensors can penetrate through clouds and measure rainfall rates, wind speeds, and the structure of the storm.
  • Scatterometers: These sensors measure the scattering of microwave radiation from the ocean surface. This provides information about wind speed and direction.
  • Spectrometers: These sensors analyze the spectral characteristics of the light reflected or emitted by the Earth and atmosphere. They provide information about the composition of the atmosphere.

These sensors provide meteorologists with a huge amount of data. This allows for a deeper understanding of the dynamics of hurricanes.

Data Processing and Analysis

The data collected by the sensors is just the beginning. The data then needs to be processed and analyzed to produce useful information. This involves several steps:

  1. Calibration: The raw data is calibrated to ensure accuracy. This corrects for any errors or distortions introduced by the sensors.
  2. Geolocation: The data is located and mapped to specific geographic coordinates. This is necessary to determine the storm’s location.
  3. Data Assimilation: The satellite data is combined with data from other sources. This includes ground-based observations, aircraft measurements, and computer models.
  4. Modeling: The combined data is used to create computer models that simulate the storm’s behavior. These models predict the storm’s path, intensity, and potential impact.

All of this data is used to create forecasts and alerts, helping people to prepare for hurricanes.

Advantages and Limitations of Satellite Hurricane Tracking

Pseilivese hurricane tracker satellites are fantastic, but they aren’t perfect. They have both advantages and limitations. Satellites offer a comprehensive view of hurricanes, providing continuous monitoring from space. They can gather data from remote areas, even over the ocean, where ground-based observations are limited. However, satellite data can sometimes be affected by factors such as cloud cover, which can obscure the view of the storm’s lower levels. Despite these limitations, satellites remain an indispensable tool for hurricane tracking and forecasting. The advantages are certainly worth the cost! These technologies have improved our understanding and ability to prepare for hurricane season. Let’s delve deeper into some of the more specific advantages and limitations:

Advantages

  • Wide Coverage: Satellites can monitor hurricanes over vast areas, including oceans where other observation methods are limited.
  • Continuous Monitoring: Satellites provide 24 7 surveillance of hurricanes, allowing for real-time tracking of their movements and changes.
  • Multiple Data Types: Satellites collect various data types, including cloud-top temperatures, sea surface temperatures, wind speeds, and precipitation rates, providing a comprehensive view of the storm.
  • Improved Forecasting: Satellite data is crucial for creating accurate hurricane models and predicting their paths and intensities.

Limitations

  • Cloud Cover: Clouds can obscure the view of the storm’s lower levels, hindering the ability to observe the storm’s features.
  • Data Resolution: The resolution of satellite data may be limited, making it difficult to detect small-scale changes in the storm.
  • Cost: Satellites are expensive to build, launch, and operate, which can be a financial constraint for some countries or organizations.
  • Calibration Issues: The accuracy of satellite data can be affected by calibration errors, leading to uncertainty in the measurements.

The field of pseilivese hurricane tracker satellite technology is constantly evolving. Scientists and engineers are always working to improve the accuracy, resolution, and capabilities of hurricane-tracking satellites. We can expect to see advancements in several areas in the coming years.

  • Improved Sensor Technology: New sensors with higher resolution and sensitivity will be developed to collect more detailed data about hurricanes. This includes sensors that can measure wind speeds more accurately and detect small changes in the storm’s structure.
  • Advanced Data Analysis Techniques: New data analysis techniques, such as artificial intelligence and machine learning, will be used to extract more information from satellite data. This includes the development of more accurate models and the ability to predict the storm’s behavior.
  • More Comprehensive Monitoring: Scientists will continue to develop new ways to monitor hurricanes. This includes the integration of satellite data with other sources of data, such as ground-based observations and aircraft measurements. This will lead to a better understanding of the dynamics of hurricanes.
  • More Resilient Satellite Systems: Engineers are working to design more reliable satellite systems. This includes developing satellites that are more resilient to the harsh conditions in space and the effects of space weather. This will lead to the development of more dependable weather forecasting and tracking.

As we keep improving this technology, we’ll become better at predicting and preparing for these powerful storms. It’s a true marvel of science and engineering, benefiting us all!

Conclusion: The Power of Satellite Hurricane Tracking

Pseilivese hurricane tracker satellites are absolutely critical tools. They help us understand, predict, and prepare for hurricanes. From the sophisticated sensors that collect data to the complex computer models that analyze it, this technology is a testament to human ingenuity. As technology continues to improve, we can expect even more precise and timely hurricane forecasts. This will allow communities to take more effective action and minimize the impact of these devastating storms. It’s not just about the science; it’s about protecting lives and property. So, the next time you hear a hurricane warning, remember the amazing work of the pseilivese hurricane tracker satellite technology, constantly watching over us from above. It really is an amazing thing to consider!