Real-Time NOAA Satellite Weather: Your Ultimate Guide

P.Dailyhealthcures 28 views
Real-Time NOAA Satellite Weather: Your Ultimate Guide

Real-Time NOAA Satellite Weather: Your Ultimate Guide

Hey everyone! Today, we’re diving deep into the fascinating world of real-time satellite weather , specifically focusing on the incredible resources provided by NOAA (National Oceanic and Atmospheric Administration) . If you’re anything like me, you’re probably always checking the weather, whether it’s for planning a weekend getaway, understanding the current climate situation, or just satisfying your inner weather geek. NOAA offers an amazing suite of tools and data that allows us to see what’s happening in the atmosphere right now, in real time! We will explore how to access this data, what it all means, and how you can use it to stay informed and even impress your friends with your newfound weather knowledge. So, buckle up, grab your virtual weather hats, and let’s get started on this exciting journey into the heart of real-time satellite weather !

This article aims to provide a comprehensive guide, breaking down complex information into easily digestible chunks. We’ll cover everything from the basic types of NOAA satellites to how you can view the images and data they provide. Get ready to learn about the different channels, the types of information they convey, and some practical tips on interpreting the data. We’ll also explore the importance of real-time weather data for various applications, like forecasting, understanding extreme weather events, and even supporting scientific research. Whether you’re a seasoned meteorologist or just curious about the weather, there is something here for you. We will also discuss some of the most useful tools and resources available online, including those that are completely free to use. Think of this as your one-stop shop for understanding and utilizing the amazing data that NOAA satellites offer. So, let’s get into it, and unlock the secrets of real-time NOAA satellite weather !

Decoding Real-Time Satellite Weather Data: The Basics

Alright, let’s begin with the fundamentals. When we talk about real-time satellite weather , we’re referring to data transmitted directly from satellites orbiting Earth. These satellites are packed with sophisticated instruments that measure a variety of atmospheric conditions, including temperature, moisture, cloud cover, and even precipitation. NOAA operates a fleet of weather satellites, each with specific functions and orbits. These include geostationary satellites, which stay in a fixed position relative to the Earth, and polar-orbiting satellites that circle the planet from pole to pole. Each type offers unique perspectives and benefits. Geostationary satellites, like the GOES series (Geostationary Operational Environmental Satellites), provide continuous monitoring of a specific region, perfect for tracking developing storms or monitoring severe weather as it unfolds. Polar-orbiting satellites, on the other hand, provide a more global view, collecting data over the entire planet and offering detailed information about the atmosphere. Understanding the differences between these types of satellites is crucial for interpreting the data you’ll be accessing. Also, knowing what the data means is also important.

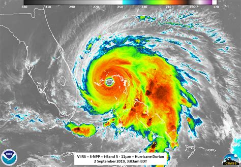
Then, what about the instruments on board? These satellites are equipped with advanced sensors, such as radiometers and sounders, that collect data in various spectral channels. These channels detect different wavelengths of electromagnetic radiation, allowing scientists to gather information about different aspects of the atmosphere. Some channels might focus on visible light, providing images similar to what you’d see with your own eyes. Others might detect infrared radiation, revealing the temperature of clouds and the Earth’s surface, even during the night. And still others use microwave frequencies to penetrate through clouds and provide information about precipitation and atmospheric water content. Each channel provides a unique piece of the puzzle, and by combining data from multiple channels, meteorologists and researchers can create a comprehensive picture of the weather conditions. This also helps track hurricanes, tornadoes, and all sorts of extreme weather.

Accessing NOAA Satellite Data: Where to Find It

Now, let’s talk about where to find this incredible information. The good news is that much of the NOAA satellite data is freely available to the public. There are several excellent resources you can use, and we will talk about some of the best ones. One of the primary sources is the NOAA website itself. NOAA provides a wealth of data through its various websites and data portals. You can often find links to real-time satellite imagery , data products, and educational resources on NOAA’s official websites, such as the National Weather Service (NWS) and the National Centers for Environmental Prediction (NCEP). These websites usually offer access to a wide range of products, including satellite imagery, radar data, weather models, and forecasts. Keep in mind that the amount of data available can be overwhelming at first. So, start by exploring the specific areas or features that interest you most, and then gradually broaden your search as you become more familiar with the resources. Furthermore, NOAA often collaborates with other organizations, such as universities and research institutions, to provide data and tools. So, look for collaborative projects or data portals that may offer specialized information or visualization tools.

Then, there are the online weather services and applications. Many weather websites and apps incorporate NOAA satellite data into their displays. Services like Weather.com, AccuWeather, and others often provide satellite imagery, radar maps, and other relevant weather information based on NOAA data. These services can be a convenient way to visualize the data and track weather patterns in your area. Keep an eye out for apps that offer interactive maps, allowing you to zoom in, pan around, and view different data layers. Some apps also let you create custom weather dashboards, showing the information that’s most important to you. And do not forget about third-party data providers: There are many third-party providers that offer specialized tools for visualizing and analyzing NOAA satellite data. Some providers offer advanced features, such as data downloads, historical archives, and custom data processing options. The cost of these services varies, from free to subscription-based. Consider your specific needs and budget when choosing a provider. And always remember to check the data sources and the accuracy of the information provided by these services. Also, do not forget about your local TV and news channels that have access to the data!

Understanding NOAA Satellite Imagery: A Quick Guide

Okay, let’s learn how to actually read the data. NOAA satellite imagery comes in various forms, each providing different insights into the weather. One of the most common types is visible imagery . These images, taken during daylight hours, are essentially what the satellite sees with its ‘eyes.’ They show cloud cover, cloud patterns, and even surface features like mountains and coastlines. Infrared imagery is another crucial type. It measures the temperature of the Earth’s surface and cloud tops, even at night. Colder temperatures are typically represented by lighter colors, while warmer temperatures are darker. This helps in identifying cloud heights and storm systems. Another important type is the water vapor imagery . This shows the amount of water vapor in the atmosphere, and this is crucial for tracking weather systems. Areas with high water vapor content are often associated with storms and precipitation. Also, there are composite images . These images combine data from multiple channels to highlight specific features. For example, a composite image might use visible, infrared, and water vapor data to show a complete picture of a weather system. This type of image is particularly useful for identifying the different aspects of the weather.

Then, it is also important to understand the color coding and the scales used in these images. Each image uses a color scheme to represent different values. Pay attention to the color key or legend, which explains what each color represents. For example, in infrared images, colder temperatures might be shown in white or light gray, while warmer temperatures are in darker shades. Also, keep an eye on the scale that indicates the range of values displayed. The scale helps you understand the magnitude of the measurements. For instance, in a temperature map, the scale might show the range of temperatures in degrees Celsius or Fahrenheit. Another useful tip is to compare different images over time. By comparing images taken at different times, you can track the movement of weather systems, observe changes in cloud cover, and assess the evolution of storms.

Practical Applications of Real-Time Satellite Data

So, why is all this data so important, and how can we use it? Well, there are many practical applications for real-time satellite data . One of the most important is weather forecasting . Meteorologists use this data, along with other sources like radar and surface observations, to create their forecasts. Satellite data helps to identify and track weather systems, assess the intensity of storms, and predict their movement. It can also be very useful for monitoring and assessing the impacts of severe weather events , such as hurricanes, tornadoes, and floods. Satellite imagery allows scientists and emergency responders to track the development, intensity, and movement of these events. This information is crucial for issuing timely warnings, coordinating evacuations, and deploying resources. Besides, it is also useful for climate monitoring and research . NOAA satellites collect long-term data on climate variables, such as temperature, precipitation, and sea ice extent. This information helps scientists understand climate patterns, detect climate change trends, and model future climate scenarios. Real-time data is also critical for tracking and monitoring environmental events , such as wildfires and volcanic eruptions. Satellite imagery helps to identify the location, extent, and intensity of these events. This information is used to assess the impact of these events and to aid in disaster response efforts. It’s also great for all you aviation and maritime enthusiasts out there! Satellite data is used by pilots and sailors to assess wind conditions, cloud cover, and other weather factors. This information helps them to plan their routes and ensure safe travel conditions. From tracking hurricanes to planning a weekend hike, the uses of real-time satellite weather are really endless.

Tools and Resources for Exploring NOAA Satellite Data

Let’s get down to the tools! There are many fantastic resources available online for exploring NOAA satellite data . Here are a few recommendations to help you get started: First, the NOAA Satellite and Information Service (NESDIS) is a primary source for NOAA satellite data. NESDIS provides a wide range of data products, including imagery, data downloads, and educational resources. They also provide information about the different satellite missions and the instruments onboard. Then, there’s the GOES Imagery Viewer . This tool allows you to view real-time satellite imagery from the GOES satellites. You can select different channels, such as visible, infrared, and water vapor, and zoom in on specific regions. This is a great tool for tracking storms and observing cloud formations. Also, there are the satellite data portals . Several websites and organizations offer data portals that provide access to NOAA satellite data. These portals often include advanced features, such as data downloads, interactive maps, and visualization tools. And the weather apps and websites are also great, because many popular weather apps and websites incorporate NOAA satellite data into their displays. Check out some of the most popular apps and websites. Look for apps that offer a variety of data products, such as radar maps, forecasts, and interactive weather maps. You also can explore the satellite data viewers . Several online viewers allow you to visualize and analyze NOAA satellite data. These viewers often include interactive maps, data overlays, and animation features. It can be a great way to explore the data and track changes over time. Also, you have educational resources. NOAA provides many educational resources, such as tutorials, videos, and webinars, to help you learn about satellite data and weather. Take advantage of these resources to expand your knowledge and understanding of the weather.

Conclusion: Your Journey into Real-Time Weather

And that’s a wrap, folks! We’ve covered a lot of ground today, from the basic concepts of real-time satellite weather to the practical applications of NOAA data. We’ve explored the different types of satellites, the channels they use, and where to find the data. By understanding the fundamentals and learning to interpret the data, you can become more informed about the weather around you. Remember, the NOAA satellites are constantly monitoring the Earth’s atmosphere, providing a wealth of information that can be accessed by anyone with an internet connection. Don’t be afraid to experiment with the resources we’ve mentioned and start exploring the world of real-time satellite weather . Keep an eye on the sky, track those storms, and stay informed. Enjoy the journey, and happy weather watching!